7 продуктов для здоровья: как железо помогает предотвратить анемию
7 продуктов для здоровья: как железо помогает предотвратить анемию Железо – это не просто минерал, это настоящий эликсир жизни, играющий...
Идеи и советы для дачных участков: дизайн и оформление, уход за огородом, садом или цветником; обустройство площадки для детей на даче, выбор садовой мебели и других дачных атрибутов
7 продуктов для здоровья: как железо помогает предотвратить анемию Железо – это не просто минерал, это настоящий эликсир жизни, играющий...
Домашние стимуляторы роста для растений: секреты пышного сада Мечтаете о пышном саде, где каждая культура радует глаз обильным цветением и...
Ваши сапоги засияют как новые: секрет блеска за 60 секунд! У каждого садовода есть свои верные спутники – пара крепких, удобных сапог. Они...
Готовим сад к зиме: чем заняться в саду и огороде в теплую погоду Осень – это время не только сбора урожая и наслаждения яркими красками...
Как спасти пересоленное мясо: секреты вкусных котлет и других блюд Каждая хозяйка хоть раз сталкивалась с досадной ситуацией: любимое блюдо...
Подготовка лука-севка к посадке: залог богатого урожая Выращивание лука – одно из самых распространенных и благодарных занятий в саду и...
Летний сезон на даче – это время отдыха, свежих овощей и фруктов, но также и время, когда на наших участках появляются непрошенные гости:...
Как сохранить канны зимой: секреты выкапывания и хранения Канны – настоящие королевы летнего сада, поражающие своим экзотическим видом и...
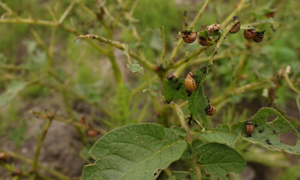
Борьба с колорадским жуком: натуральные и эффективные методы для вашего огорода Колорадский жук – настоящий бич для картофельных полей и...
Петунии, с их яркими, разнообразными цветами и продолжительным цветением, по праву считаются одними из самых любимых садовых цветов. Они...